Eigentlich könnte dieser Artikel schon wieder „Einmal ins Paradies…“ heißen, aber das wäre etwas unkreativ. Wir starten nach einem gemütlichen Frühstück an unserem Super-Campspot Richtung Norden. Unser Ziel heißt Exmouth und liegt ca. 680km entfernt. Auf dem Weg dorthin gibt es einfach nichts, sodass wir bis auf einen Mittagessenstop und einen Eis-Stop an einem Roadhouse durchreiten bis Exmouth. Von Kilometer zu Kilometer kommen uns weniger Menschen entgegen. Gegen 18 Uhr erreichen wir den Campingplatz, denn wir müssen nochmal duschen, bevor wir für 3 Tage/2 Nächte in den Cape Range Nationalpark, 50km nördlich von Exmouth, fahren werden. Dort gibt es nur Nationalparkcampingplätze mit Buschtoilette, keine Dusche, kein Wasser, keine Geschäfte, kein Handynetz. Aber das Ningaloo Reef, ein Korallenriff, das 50-100m vom Strand entfernt beginnt. Und da wollen wir schnorcheln. Der Campingplatz in Exmouth ist keine Schönheit, aber hat alles, was man braucht – Dusche, Campkitchen, BBQ-Area. Ein Emu rennt über den Platz und schaut sich mal um, was es so alles zu Essen gibt. In der Luft kreischen die Papageien.
In der Visitor Information leihen wir uns am nächsten Morgen noch Flossen zum Schnorcheln und auf geht es in den Cape Range Nationalpark. Unser erster Stop ist die Turquoise Bay, die als exzellenter Schnorchelplatz gilt, und noch dazu macht der Name dem Strand alle Ehre. Wir machen den „Drift Snorkel“, das heißt man geht mit Schorchel, Taucherbrille und Flossen ins Wasser, schwimmt 50 Meter raus und lässt sich dann von der Strömung über die Korallen mit ihren wunderschönen, bunten Fischen treiben. Es ist so schön, wir fühlen uns wie in einem Aquarium. Das heißt vielmehr Simona und Flo, Struppel und mir ist das Wasser zu nass und zu kalt, schöne Fische hin oder her. Wir bleiben lieber am Strand. Simona und Flo schnorcheln, was das Zeug hält. Nach ca. einer dreiviertel Stunde im Wasser wird es aber auch bei 28 Grad Außentemperatur und Sonnenschein ganz schön kalt, sodass die beiden sich zwischendruch mal zu uns an den Strand aufwärmen kommen. Ab ca. 16 Uhr sind wir allein an diesem traumhaft schönen Strand (wie kann das sein??). Gegen Abend brechen wir – noch völlig seelig von den schönen Schnorchelerlebnissen – zu unserem Nationalparkcampingplatz „North Mandu“ auf. Im ca. 70km langen Park, der parallel zur Küste verläuft, gibt es etwa 15 Nationalparkcampgrounds, je nur mit einer Buschtoilette bestückt, sonst nichts. Die Plätze haben jeweils zwischen 5 und 40 Stellplätzen. North Mandu ist mit 5 Stellplätzen der kleinste und ist windgeschützt wunderschön hinter den Dünen gelegen. Abends kommen uns einige Papageien besuchen und schauen, was es so zu essen gibt. Am nächsten Morgen bekommen wir Besuch von drei Kängurus, die ihr Frühstück genießen. Später besucht uns auch noch unser neuseeländischer Nachbar, der mit seiner Frau für 5 Monate unterwegs ist, und hält ein Pläuschchen mit uns. Schnell ist klar, was wir an diesem Tag machen werden: wir fahren wieder zur Turquoise Bay, um zu schnorcheln. An diesem Tag machen wir vier Schnorchelgänge und sind jedes Mal von Neuem fasziniert. Einmal begegnet uns neben den vielen bunten Fischen auch ein Hai (an die jetzt wahrscheinlich kurz besorgten Mütter: es war nur ein kleiner Riffhai, maximal einen Meter lang).
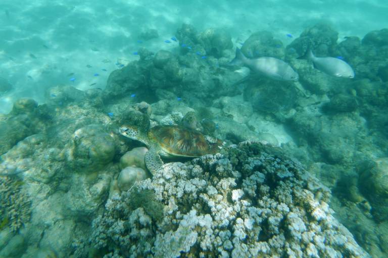
An diesem Abend schlafen wir auf einem anderen der vielen Nationalparkcampgrounds, in Osprey Bay. Auf dem weitläufig angelegten Platz mit 40 Stellplätzen haben wir einen Platz in der ersten Reihe direkt am Meer. Auch hier ist es wunderschön und toll gepflegt, wie eigentlich in allen Nationalparks in Australien. Der Abschied fällt am nächsten Morgen schon etwas schwer, aber bei 30 Grad ohne Schatten freuen wir uns nochmal auf eine Abkühlung an einem anderem Schnorchelspot namens Lakeside. Dort soll die Wahrscheinlichkeit, Wasserschildkröten zu sehen, höher sein als am Turquoise Bay. Und Flo und Simona wünschen sich doch so sehr, mal mit einer Wasserschildkröte zu schwimmen. Wir gehen ins Wasser und sind keine 30 Meter weit geschorchelt, da entdeckt Simona gleich zwei Wasserschildkröten in einem kleinen „Korallenatoll“. Wenn Flo seine Brille nicht aufhat, hat sie einen kleinen Wettbewerbsvorteil gegenüber dem „Super-Animal-Spotter“. Die Schildkrötenhaben die Ruhe weg und bleiben gemütlich liegen/sitzen, während wir sie von allen Seiten fotografieren. Ein großer, kunterbunter Fisch schwimmt aufgeregt vor den beiden hin und her, als wollte er sagen: „ich bin auch sehr schön, ich will auch fotografiert werden“. Nach einiger Zeit müssen die Schildkröten Luft holen und eine der beiden schwimmt danach minutenlang wieder unter Wasser neben uns her. Das ist ein Erlebnis!
Mit einer dicken Salzwasser-Sonnencreme Schicht (im Park gibt es ja keine Duschen und wir waren insgesamt 7 Mal schnorcheln…) machen wir uns nach zweieinhalb Tagen auf den Weg Richtung Karijini Nationalpark. Das ist eine spontane Idee, eigentlich hatten wir diesen Park auf der Route nicht eingeplant. Aber da der freundliche Australier, der uns in Denham das Auto vermietet hat, so davon geschwärmt hat, machen wir noch einen kleine Umkürzung auf dem Weg zurück nach Perth.
Kleine Anmerkung zu den Fotos: Unsere große Kamera sollte nicht mit baden gehen und so sind die Unterwasserfotos mit einer kleinen Knipse gemacht. Leider sieht es auf den Fotos nicht einmal halb so schön aus, wie es wirklich war.






















